445 S 100 W Providence, UT 84332
445 S 100 W Providence, UT 84332
445 S 100 W Providence, UT 84332
445 S 100 W Providence, UT 84332
445 S 100 W Providence, UT 84332
445 S 100 W Providence, UT 84332
445 S 100 W Providence, UT 84332
445 S 100 W Providence, UT 84332
445 S 100 W Providence, UT 84332
445 S 100 W Providence, UT 84332

445 S 100 W Providence, UT 84332

For Sale$160,000
14,810 sqft
0.34 acres

PROPERTY DETAILS

About This Property

This land / lot for sale at 445 S 100 W Providence, UT 84332 has been listed at $160,000 and has been on the market for 48 days.

Full Description

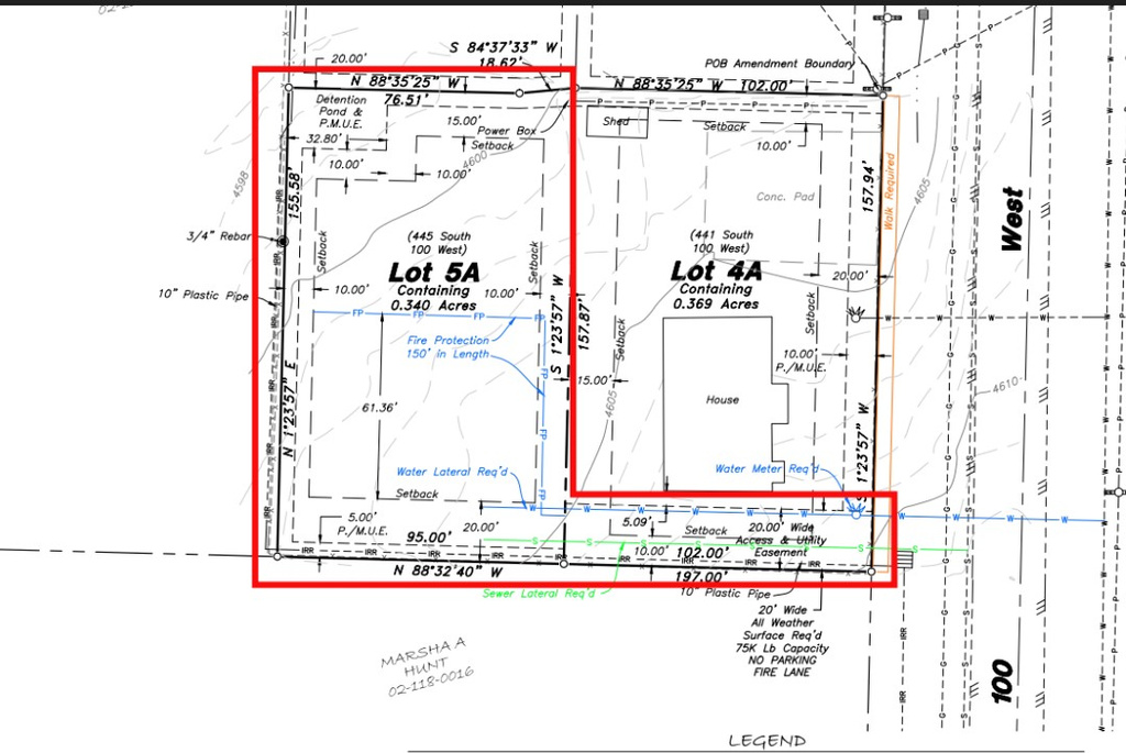
Large lot in an amazing area in Providence. All Utilities will be stubbed for build. Bring your own floor plan and builder or let Lightwave homes design and build you a custom energy efficient home or your dreams. This is a flag lot. There will be a paved easement for easy access. Plot map shows the redlined Lot 5A and the easement as the lot for sale.

Property Highlights

  • Bring your own floor plan and builder or let Lightwave homes design and build you a custom energy efficient home or your dreams. .
  • Large lot in an amazing area in Providence. .
  • Plot map shows the redlined Lot 5A and the easement as the lot for sale. .
  • All Utilities will be stubbed for build. .

The land / lot for sale at 445 S 100 W Providence, UT 84332 has been listed at $160,000 and has been on the market for 48 days.

Large lot in an amazing area in Providence. All Utilities will be stubbed for build. Bring your own floor plan and builder or let Lightwave homes design and build you a custom energy efficient home or your dreams. This is a flag lot. There will be a paved easement for easy access. Plot map shows the redlined Lot 5A and the easement as the lot for sale.


Let me assist you on purchasing a house and get a FREE home Inspection!

General Information

  • Price

    $160,000   

  • Days on Market

    48

  • Area

  • House Size

    14810 Sq Ft

  • Address       

    445 S 100 W Providence, UT 84332

  • Listed By   

    EXP Realty, LLC

  • HOA

    NO

  • Lot Size

    0.34

  • MLS

    2133489

  • Status

    Active

  • City

    Providence

  • Term Of Sale

    Cash,Conventional

Inclusions

  • Terrain: Flat
  • Natural Gas Connected
  • Electricity Connected
  • Sewer Connected
  • Sewer: Public

Garage and Parking

  • Garage Type: No
  • Garage Spaces:
  • Carport: No

Price History

Jan 28, 2026

$160,000

Just Listed





Other Property Info

  • Area:
  • Zoning: Single-Family
  • State: UT
  • County: Cache
  • This listing is courtesy of:: Darin Kidd EXP Realty, LLC.

Utilities

  • Natural Gas Connected

  • Electricity Connected

  • Sewer Connected

  • Sewer: Public


Based on information from UtahRealEstate.com as of 2026-01-28 14:39:40. All data, including all measurements and calculations of area, is obtained from various sources and has not been, and will not be, verified by broker or the MLS. All information should be independently reviewed and verified for accuracy. Properties may or may not be listed by the office/agent presenting the information. IDX information is provided exclusively for consumers’ personal, non-commercial use, and may not be used for any purpose other than to identify prospective properties consumers may be interested in purchasing.

Housing Act and Utah Fair Housing Act, which Acts make it illegal to make or publish any advertisement that indicates any preference, limitation, or discrimination based on race, color, religion, sex, handicap, family status, or national origin.

SIMILAR HOMES

NEW - 13 HOUR AGO
560 N 750 E, Providence UT 84332

560 N 750 E
Providence UT 84332

DISCOVER the beauty of SHORELINE ESTATES Phase 2 in Providence - Cache Valley's premier view lots with breathtaking valley and mountain views! No HOA and you ca...

  • 0.36 Acres

$167,905

370 S 1200 W, Logan UT 84321

370 S 1200 W
Logan UT 84321

Hard to find lot in Logan. Flat, ready to build ground with all utilities at the street, no costly prep work needed. Bring your own builder and design your dre...

  • 0.33 Acres

$160,000

649 E 250 N, Providence UT 84332

649 E 250 N
Providence UT 84332

Back on the market, sellers had to relocate. This highly desirable view lot on the Providence bench is now available! Beautiful mountain and valley views. No...

  • 0.31 Acres

$169,900

Best Utah Real Estate Mobile App
MLS at your fingertips
Real-time updates
Listing Alerts
Interactive Map
Save your searches

Best Utah Real Estate

Your trusted MLS search companion

Accurate Data - Direct MLS feed for real-time listings
Privacy First - We never sell your personal data
Personalized - Custom alerts for your dream home
Easy to Use - Intuitive design for all users