Price, UT 84501
 Price, UT 84501
 Price, UT 84501
 Price, UT 84501

Price, UT 84501

For Sale$100,000
430,373 sqft
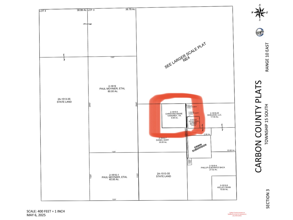
9.88 acres

PROPERTY DETAILS

About This Property

This land / lot for sale at Price, UT 84501 has been listed at $100,000 and has been on the market for 48 days.

Full Description

On this 9.88 acres property, situated between Price and Wellington, you'll have expansive, unobstructed views of the nearby plateaus, distant mountains and broad skies. The surrounding rural land situated southeast of Price is wide-open and sparsely populated, with long sightlines across rolling plains and low Hills, punctuated by distant mesas and desert ridges typical of eastern Utah. The figures are provided as a courtesy estimate only and were obtained from county records . Buyer is advised to obtain an independent measurement.

Property Highlights

  • On this 9. 88 acres property, situated between Price and Wellington, you'll have expansive, unobstructed views of the nearby plateaus, distant mountains and broad skies. .
  • The figures are provided as a courtesy estimate only and were obtained from county records . .
  • Generous 9.88 acre lot provides privacy and space
  • Expansive 9.88 acre estate lot offers endless possibilities

The land / lot for sale at Price, UT 84501 has been listed at $100,000 and has been on the market for 48 days.

On this 9.88 acres property, situated between Price and Wellington, you'll have expansive, unobstructed views of the nearby plateaus, distant mountains and broad skies. The surrounding rural land situated southeast of Price is wide-open and sparsely populated, with long sightlines across rolling plains and low Hills, punctuated by distant mesas and desert ridges typical of eastern Utah. The figures are provided as a courtesy estimate only and were obtained from county records . Buyer is advised to obtain an independent measurement.


Let me assist you on purchasing a house and get a FREE home Inspection!

General Information

  • Price

    $100,000   

  • Days on Market

    48

  • Area

  • House Size

    430373 Sq Ft

  • Neighborhood

    CARBON COUNTY PLAT

  • Address       

    Price, UT 84501

  • Listed By   

    Unity Group Real Estate LLC

  • HOA

    NO

  • Lot Size

    9.88

  • MLS

    2138821

  • Status

    Active

  • City

    Price

  • Term Of Sale

    Cash,Conventional,Exchange

Inclusions

  • Corner Lot

Garage and Parking

  • Garage Type: No
  • Garage Spaces:
  • Carport: No

Price History

Feb 23, 2026

$100,000

Just Listed



Neighborhood Information

CARBON COUNTY PLAT

Price, UT

Located in the CARBON COUNTY PLAT neighborhood of Price

Nearby Schools
  • Elementary: Creekview
  • Jr High: Mont Harmon
  • High School: Carbon

Very Walkable

person walking

Transit Score

0

Minimal Transit

Bikeable

Most errands can be accomplished on foot. Minimal public transit is available in the area. This area is Bikeable - it's convenient to use a bike for trips.



Other Property Info

  • Area:
  • Zoning: Single-Family, Agricultural
  • State: UT
  • County: Carbon
  • This listing is courtesy of:: Ranee M Curtis Unity Group Real Estate LLC.

Based on information from UtahRealEstate.com as of 2026-02-23 10:59:28. All data, including all measurements and calculations of area, is obtained from various sources and has not been, and will not be, verified by broker or the MLS. All information should be independently reviewed and verified for accuracy. Properties may or may not be listed by the office/agent presenting the information. IDX information is provided exclusively for consumers’ personal, non-commercial use, and may not be used for any purpose other than to identify prospective properties consumers may be interested in purchasing.

Housing Act and Utah Fair Housing Act, which Acts make it illegal to make or publish any advertisement that indicates any preference, limitation, or discrimination based on race, color, religion, sex, handicap, family status, or national origin.

SIMILAR HOMES

, Price UT 84501


Price UT 84501

Build Your Dream or Invest in the Future! Don't miss this exceptional 2.15-acre building lot located just minutes from Price. This property is uniquely position...

  • 2.16 Acres

$120,000

575 E 100 N, Price UT 84501

575 E 100 N
Price UT 84501

Square footage figures are provided as a courtesy estimate only and were obtained from ~COUNTY RECORDS~. Buyer is advised to obtain an independent measurement....

  • 0.29 Acres

$80,000

2143 N CARBONVILLE 95 N, Helper UT 84526

2143 N CARBONVILLE 95 N
Helper UT 84526

Potential building lot with additional soil for enhanced privacy." Square footage figures are provided as a courtesy estimate only and were obtained from Carbon...

  • 1.27 Acres

$79,000

Best Utah Real Estate Mobile App
MLS at your fingertips
Real-time updates
Listing Alerts
Interactive Map
Save your searches

Best Utah Real Estate

Your trusted MLS search companion

Accurate Data - Direct MLS feed for real-time listings
Privacy First - We never sell your personal data
Personalized - Custom alerts for your dream home
Easy to Use - Intuitive design for all users